Después de tocar tierra cerca de Cameron, Louisiana, como una tremenda tormenta de categoría 4, el huracán Laura continuó avanzando hacia el norte sobre el oeste de Louisiana, en ese momento se obtuvo la tremenda imagen que podéis ver a continuación. El Visible Infrared Imaging Radiometer Suite (VIIRS) en NOAA-20 adquirió esta espectacular imagen en la noche del 27 de agosto de 2020, aproximadamente dos horas después de que la tormenta tocara tierra. 

Las nubes se muestran en infrarrojos utilizando datos de temperatura de brillo, lo que es útil para distinguir las estructuras de nubes más frías de la superficie más cálida de la zona más baja. Esos datos se superponen en imágenes compuestas de las luces de la ciudad obtenidas por el proyecto Black Marble de la NASA.

Créditos: Observatorio de la Tierra de la NASA. Descargar imagen aquí

El resultado es una imagen impresionante de estas super borrascas que tanto daño pueden hacer cuando tocan tierra, pero ahora vamos a entrar en profundidad que son estas enormes borrascas y donde y cómo se producen.

¿Qué es un Huracán?

Reciben el nombre de huracanes aquellas borrascas tropicales que se  producen sobre el Atlántico Norte o la parte oriental del Pacifico Norte y que originan vientos cuyas velocidades máximas son superiores a los 120 km/h, cuando se originan en el Pacífico Oeste o en Océano índico se les denomina Tifones. A causa de los grandes daños que ocasionan en tierra tanto de vidas como materiales y del peligro que suponen para la navegación, se presta mucha atención a la predicción de su desarrollo y movimiento.

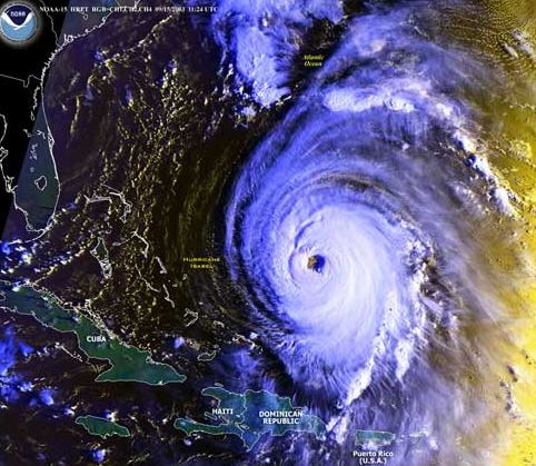
huracán isabelHuracán Isabel, año 2008. Créditos: NOOA-NASA

Las características principales de los huracanes son baja presión en su centro y la elevada velocidad del viento. Un huracán típico consiste en un vórtice casi circular de unos 500 km de diámetro, que dura varios días y algunos incluso más de una semana.

Huracán María sobre Puerto Rico. Créditos: NOOA-NASA

Puesto que la presión aumenta mucho desde el centro hasta la parte exterior existe una intensa diferencia en la presión con lo que se generan vientos de velocidades muy elevadas. Los vientos más fuertes se producen normalmente a unos 30 km del centro de la borrasca. El enorme desarrollo vertical de cumulonimbos (nubes de desarrollo vertical) con la parte superior situada por encima de los 12 km refleja la enorme actividad convectiva del sistema, las células convectivas están organizadas en bandas que giran siguiendo una trayectoria en espiral hacia el centro del huracán.

En los 20 a 40 km más interiores de la borrasca, los vientos son flojos y se ven pocas nubes en el cielo, esta parte se denomina ojo de la borrasca. El aire de la parte interna de la borrasca desciende y es seco y más cálido que el aire situado en la parte exterior del vórtice, por esa razón se describe también a los huracanes como depresiones de núcleo cálido. Las velocidades ascendentes más elevadas se registran en el exterior de la región de los vientos máximos y son zonas de nubes convectivas y tormentas. Estas zonas no están distribuidas simétricamente alrededor de la borrasca, sino que generalmente son bandas espirales de precipitación, y su concentración es mayor en el cuadrante delantero derecho del huracán. En esta región es donde hay más probalidad de que se formen tornados.

huracán desde la ISSHuracán Florence año 2018, observado desde la Estación espacial internacional. Créditos: NASA-ISS.

Para que se forme un Huracán son necesarias, aunque no siempre suficientes ciertas condiciones. Una de ellas es una gran extensión del océano con una temperatura superficial superior a los 27ºC, por tanto se producen en aguas cálidas. Los ciclones raras veces se forman en latitudes comprendidas entre los 5º y el ecuador, ya que son zonas de menor circulación atmosférica. También se forman cuando hay presencia en un anticiclón en la troposfera superior.

El número de huracanes atlánticos varía mucho de unos años a otros, y algunas veces es superior a 10, con el cambio climático que esta sufriendo la Tierra se predice que los huracanes irán en aumento, así como su intensidad.

Los recorridos más frecuentes de los huracanes vienen determinados por la configuración de los vientos prevalecientes. Las borrascas son transportadas por vientos alisios del Este y se curvan hacia el polo a medida que se aproximan a los continentes. Un huracán es transportado por la corriente principal en la que se encuentra, y al mismo tiempo, se mueve a través de la corriente, aunque con menor velocidad.

trayectoriaTrayectoria del huracán Irma en 2017. Créditos: NOOA-NASA

A medida que los huracanes se mueven sobre tierra o sobre océanos de latitudes más altas se debilita, esto ocurre principalmente porque se reduce la entrada de energia cuando la borrasca se aleja de regiones cálidas. Además cuando un huracán pasa sobre un continente, el terreno ejerce sobre él una fuerza adicional de rozamiento que hace reducir las velocidades del viento.

Pero aun así aunque en tierra pierdan fuerza no pierden poder destructivo, y pueden causar victimas y muchísimos daños materiales. La causa principal de estos daños es la gran ola que producen los vientos cuando la borrasca se aproxima a la costa, a veces se puede formar una pared de agua de más de 3 metros de altura, que barre las tierras bajas, y junto con lluvias torrenciales puede causar grandes inundaciones. Cuando entran tierra adentro pierden fuerza del viento pero siguen siendo fuertes, también si se encuentran con terrenos ondulados o montañosos pueden producir una intensa precipitación.

Clasificación de los huracanes

Podemos clasificar los huracanes en cinco categorías según su intensidad:

Categoría    Presión central(mb)     Viento (km/h)     Oleaje (m)

1                          >=980                              120-153                 1.5

                       965-979                             154-177               2-2.5

                       945-964                             178-210               2.5-4

                       920-944                             211-250               4-5.5

                           <920                               >250                    >5.5

También reciben nombres que pueden ser de hombre o de mujer, estos se asignan para todo un año en orden según los huracanes que vayan apareciendo. Por ejemplo el huracán Florence, el Andrew, Jose, Laura …

Los huracanes son auténticos fenómenos extremos de la naturaleza, muy peligrosos y destructivos, su estudio es clave para salvar vidas, tanto desde tierra como desde el espacio mediante satelites son observados continuamente para predecir su movimiento, el futuro de estos fenómenos extremos es que vayan en aumento de intensidad debido al calentamiento global, por tanto el ser humano debe empezar a tomarse muy enserio el cambio climático y que los países que más contaminan empiecen a concienciarse de que deben dejar de estropear el futuro de los habitantes del planeta.

Para saber más:

National Hurricane center

Resúmenes históricos de huracanes

The Saffir-Simpson Hurricane Wind Scale

Anuncios

Descubre más desde CURIOSIDADES ASTRONÓMICAS

Suscríbete y recibe las últimas entradas en tu correo electrónico.

Una respuesta a «El Impresionante Huracán Laura desde el espacio»

  1. Avatar de BELLEZAMICRON

    Hermoso e impresionante!!!

    Le gusta a 1 persona

Deja un comentario

Este sitio utiliza Akismet para reducir el spam. Conoce cómo se procesan los datos de tus comentarios.

Descubre más desde CURIOSIDADES ASTRONÓMICAS

Suscríbete ahora para seguir leyendo y obtener acceso al archivo completo.

Seguir leyendo