Para describir el régimen de viento de una localidad se utilizan unos diagramas, llamados rosa de los vientos, en los cuales se dan las direcciones y frecuencias de las mismas, durante un periodo de tiempo determinado, normalmente anual o mensual. Así sabemos según la dirección del viento sabemos de que tipo de viento se trata.

La dirección del viento se expresa en grados de circunferencia o bien a partir de las direcciones de la rosa de los vientos.
La intensidad o fuerza del viento se puede medir en distintas unidades. En meteorología las más comunes son:
– Nudos: 1 kt = 1 nudo = 1 milla marina / hora , 1 milla marina = 1852 metros
– Kilómetros / hora (km/h): 1kt = 1.85km/h
– Metros por segundo (m/s): 1m/s = 2kt
En meteorología, sobre todo en meteorología marítima, muchas veces se habla de ’fuerza’ del viento. La ’fuerza’ del viento se expresa de acuerdo con la escala Beaufort:
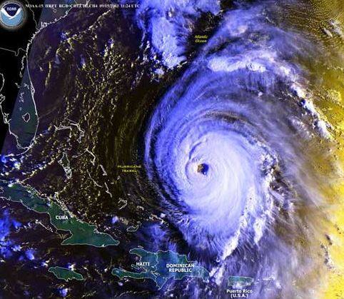
Como extremo de vientos muy altos están los huracanes y Tifones:
Reciben el nombre de huracanes aquellas borrascas tropicales que se producen sobre el Atlántico Norte o la parte oriental del Pacifico Norte y que originan vientos cuyas velocidades máximas son superiores a los 120 km/h, cuando se originan en el Pacífico Oeste o en Océano índico se les denomina Tifones. A causa de los grandes daños que ocasionan en tierra tanto de vidas como materiales y del peligro que suponen para la navegación, se presta mucha atención a la predicción de su desarrollo y movimiento.
Las características principales de los huracanes son baja presión en su centro y la elevada velocidad del viento. Un huracán típico consiste en un vórtice casi circular de unos 500 km de diámetro, que dura varios días y algunos incluso más de una semana.

Créditos: NOOA-NASA
Puesto que la presión aumenta mucho desde el centro hasta la parte exterior existe una intensa diferencia en la presión con lo que se generan vientos de velocidades muy elevadas. Los vientos más fuertes se producen normalmente a unos 30 km del centro de la borrasca. El enorme desarrollo vertical de cumulonimbos (nubes de desarrollo vertical) con la parte superior situada por encima de los 12 km refleja la enorme actividad convectiva del sistema, las células convectivas están organizadas en bandas que giran siguiendo una trayectoria en espiral hacia el centro del huracán.
En los 20 a 40 km más interiores de la borrasca, los vientos son flojos y se ven pocas nubes en el cielo, esta parte se denomina ojo de la borrasca. El aire de la parte interna de la borrasca desciende y es seco y más cálido que el aire situado en la parte exterior del vórtice, por esa razón se describe también a los huracanes como depresiones de núcleo cálido. Las velocidades ascendentes más elevadas se registran en el exterior de la región de los vientos máximos y son zonas de nubes convectivas y tormentas. Estas zonas no están distribuidas simétricamente alrededor de la borrasca, sino que generalmente son bandas espirales de precipitación, y su concentración es mayor en el cuadrante delantero derecho del huracán. En esta región es donde hay más probalidad de que se formen tornados.
Para que se forme un Huracán son necesarias, aunque no siempre suficientes ciertas condiciones. Una de ellas es una gran extensión del océano con una temperatura superficial superior a los 27ºC, por tanto se producen en aguas cálidas. Los ciclones raras veces se forman en latitudes comprendidas entre los 5º y el ecuador, ya que son zonas de menor circulación atmosférica. También se forman cuando hay presencia en un anticiclón en la troposfera superior.
El número de huracanes atlánticos varía mucho de unos años a otros, y algunas veces es superior a 10, con el cambio climático que esta sufriendo la Tierra se predice que los huracanes irán en aumento, así como su intensidad.
Los recorridos más frecuentes de los huracanes vienen determinados por la configuración de los vientos prevalecientes. Las borrascas son transportadas por vientos alisios del Este y se curvan hacia el polo a medida que se aproximan a los continentes. Un huracán es transportado por la corriente principal en la que se encuentra, y al mismo tiempo, se mueve a través de la corriente, aunque con menor velocidad.
El siguiente mapa dinámico muestra las previsiones que superordenadores realizan de los movimientos de los vientos en la Tierra. Los datos proceden de múltiples fuentes globales tomadas desde satélite, datos que son actualizados cada tres horas. Se pueden observar remolinos que suelen indicar sistemas de bajas presiones con vientos de alta velocidad, incluidos los impresionantes huracanes, ciclones y tifones. Es un mapa online que podemos ver y apreciar las diversas direcciones del viento de la Tierra. Es una aplicación de rosa de los vientos gigante: https://earth.nullschool.net/

Créditos: Cameron Beccario , earth.nullschool.net
Es un mapa interactivo en el que podemos hacer zoom y ver los detalles de la región que queramos de la Tierra, también haciendo clic en la en la palabra “earth”, en la parte inferior izquierda, vamos directamente a un panel de control que nos permite superponer otros datos como: temperatura, humedad, presión, precipitación y dióxido de carbono.

Para saber más:
Procesamiento de datos: GFS y del Servicio Meteorológico Nacional (NOAA); GEOS-5 y el Goddard Space Flight Center (NASA)




Deja un comentario